『榆属』
花果期
3-6月
科属
榆科/榆属
自然观察
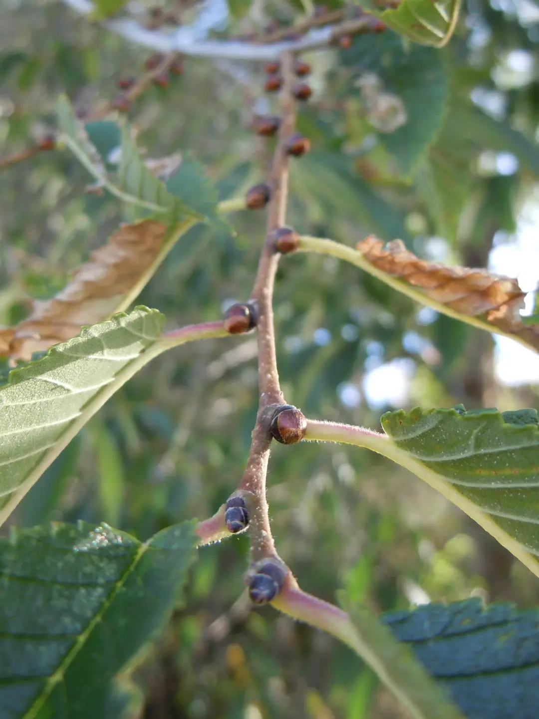
榆树的花比较小,只有2-3毫米长,几朵花簇生在一起,远看像一个个小黑球。相信大家基本都听过或者吃过榆钱,要吃榆钱一定趁新鲜,深绿的榆钱太老,会有苦涩味;最适口的是粉绿色,加入鸡蛋炒,吃起来会有一种空气感,没有特殊的味道。
自然科普
榆树是中国的本土树种。很多人对榆树的印象,大概是春有榆钱,夏有榆叶;榆钱其实就是榆树果实的俗称,因为整个外形很像古代的铜钱,所以被大家称为“榆钱”。它的果实是圆形的翅果,中间部分鼓起,包含着种子,周围一圈都是薄薄的翅,待果实成熟后会变干,然后榆钱就会用自己的翅膀随风飞行,飘到远方。榆树在温暖、光照充足的地方生长较快,木材也比较结实很适合做家具,或者用于雕刻。
[蹲R]关注自然介,为你持续更新好看、好玩又有意义的儿童自然教育资讯以及户外活动[勾引R]
自然教育|自然科普|亲子户外活动|儿童研学夏令营|公园导赏|培训咨询|公益活动|






